Plauen (Vogtl) ob Bf 0,40 - Adorf (Vogtl) 33,14 - Staatsgrenze Deutschland/Tschechien - Eger 74,49 (PE)

Auszug Streckenkarte 1938
Quelle: [1]
Stand der Kilometrierung: 1914
Plauen ob Bf - Eger
| Plauen ob Bf | Strecke Leipzig Bayerischer Bf - Hof Hbf | |
| Plauen West | ||
| Weischlitz | Strecke Gera - Weischlitz | |
| Pirk | ||
| Ölsnitz | Strecke Herlasgrün - Falkenstein - Ölsnitz | |
| Hundsgrün | ||
| Adorf | Strecke Chemnitz - Aue - Adorf | |
| Bad Elster | ||
| Raun | ||
| Königreich Sachsen | ||
| Grenze | ||
| Königreich Böhmen | ||
| Königreich Böhmen | ||
| Staatsgrenze | ||
| Königreich Sachsen | ||
| Brambach | ||
| Königreich Sachsen | ||
| Grenze | ||
| Königreich Böhmen | ||
| Königreich Böhmen | ||
| Grenze | ||
| Königreich Sachsen | ||
| Königreich Sachsen | ||
| Grenze | ||
| Königreich Böhmen | ||
| Fleißen | ||
| Königreich Böhmen | ||
| Grenze | ||
| Königreich Sachsen | ||
| Schönberg | ||
| Königreich Sachsen | ||
| Grenze | ||
| Tschechien | ||
| Voitersreuth | ||
| Antonienhöhe-Stöckermühle | ||
| Franzensbad | Strecke Franzensbad -Asch (Stadt) - Oberkotzau | |
| Strecke Franzensbad -Tirschnitz | ||
| Eger | Strecke Eger - Pilsen | |
| Strecke Eger - Regensburg | ||
| Strecke Eger - Nürnberg |
Stand der Kilometrierung: 1929
Stand der Kilometrierung: 1946
| Plauen (Vogtl) ob. Bf | 0,40 | km 116,11 der Strecke Leipzig Bayerischer Bf 0,12 - Altenburg Hbf 38,63 - Werdau 73,81 - Reichenbach (Vogtl) 90,96 - Plauen ob. Bf 116,11 - Hof (Saale) 164,8 |
| Plauen (Vogtl) West | 2,82 | |
| Kürbitz | 7,67 | km 58,13 der Strecke Gera Süd -0,12 - Plauen (Vogtl) unt. Bf 52,677 - Weischlitz 59,90 |
| Weischlitz | 9,45 | km 59,90 der Strecke Gera Süd -0,12 - Plauen (Vogtl) unt. Bf 52,677 - Weischlitz 59,90 |
| Überlänge 20 m | ||
| Pirk | 13,40 | |
| Oelsnitz (Vogtl) | 19,83 | km 47,29 der Strecke Herlasgrün 0,22 - Falkenstein (Vogtl) 22,27 - Oelsnitz (Vogtl) 47,29 (HOe) |
| Hundsgrün | 26,61 | |
| Rebersreuth | 29,17 | |
| Adorf (Vogtl) | 33,14 | km 114,47 der Strecke Chemnitz Hbf 0,0 - Aue (Sachs) 50,80 - Adorf (Vogtl) 114,47 (CA) |
| km 25,69 der Strecke Asch 0,0 - Staatsgrenze Tschechei/Deutschland 16,870 - Arnsgrün 18,54 - Adorf (Vogtl) 25,69 (AA) | ||
| Bad Elster | 36,30 | |
| Sohl | 39,58 | |
| Raun | 41,56 | |
| Bk Hengstberg | 46,39 | |
| Deutschland | ||
| Staatsgrenze | 47,611 | |
| Tschechien | ||
| Tschechien | ||
| Staatsgrenze | 48,137 | |
| Deutschland | ||
| Sanatorium Brambach | 48,90 | 1948 - 1957 |
| Bad Brambach | 49,93 | |
| Deutschland | ||
| Staatsgrenze | 51,325 | |
| Tschechien | ||
| Tschechien | ||
| Staatsgrenze | 51,909 | |
| Deutschland | ||
| Deutschland | ||
| Staatsgrenze | 52,085 | |
| Tschechien | ||
| Plesná | 53,55 | dt.: Fleißen |
| Tschechien | ||
| Staatsgrenze | 55,525 | |
| Deutschland | ||
| Schönberg (b Bad Brambach) | 57,27 | |
| Deutschland | ||
| Staatsgrenze | 59,459 | |
| Tschechien | ||
| Vojtanov | 60,01 | dt.: Voitersreuth |
| Abzw Schweinebeutel | 62,48 | |
| Františkovy Lázně | 67,84 | dt.: Franzensbad |
| Cheb | 74,49 | dt.: Eger |
| km 151,467 der Strecke km 0,0 der Strecke Eger 0,0 - Asch 27,55 - Staatsgrenze Tschechien/Deutschland 29,601 - Selb-Plößberg 34,82 - Oberkotzau 54,54 | ||
| km 237,252 der Strecke Prag 0,0 - Komotau (tsch.: Chomutov) 125,173 - Eger (tsch.: Cheb) 237,5 | ||
| km 237,252 der Strecke Prag 0,0 - Komotau (tsch.: Chomutov) 125,173 - Eger (tsch.: Cheb) 237,5 | ||
| km 0,0 der Strecke Eger 0,0 - Asch 27,55 - Staatsgrenze Tschechien/Deutschland 29,601 - Selb-Plößberg 34,82 - Oberkotzau 54,54 | ||
| km 26,5 der Strecke Wiesau (Oberpf) 0,0 - Waldsassen 14,3 - Staatsgrenze Deutschland/Tschechien 19,663 - Cheb (dt.: Eger) 26,5 |
Stand der Kilometrierung: 1967
| Plauen (Vogtl) ob Bf | 0,40 | km 116,11 der Strecke Leipzig Bayerischer Bf 0,12 - Altenburg Hbf 38,63 - Werdau 73,81 - Reichenbach (Vogtl) 90,96 - Plauen ob. Bf 116,11 - Grenze DDR/BRD 151,699 - Hof (Saale) 164,8 |
| Plauen (Vogtl) West | 2,814 | |
| Kürbitz | 7,67 | km 58,13 der Strecke Gera Süd -0,12 - Wünschendorf (Elster) 9,40 - Greiz 30,66 - Weischlitz 59,90 (GWz) |
| Weischlitz | 9,45 | km 59,90 der Strecke Gera Süd -0,12 - Wünschendorf (Elster) 9,40 - Greiz 30,66 - Weischlitz 59,90 (GWz) |
| Überlänge 20 m | ||
| Pirk | 13,40 | |
| Oelsnitz (Vogtl) | 19,831 | km 47,29 der Strecke Herlasgrün 0,22 - Falkenstein (Vogtl) 22,27 - Streckenunterbrechung - [Oelsnitz (Vogtl) 47,293] (HOe) |
| Hundsgrün | 26,603 | |
| Rebersreuth | 29,175 | |
| Adorf (Vogtl) | 33,14 | km 114,47 der Strecke Karl-Marx-Stadt Hbf 0,0 - Aue (Sachs) 50,81 - Adorf (Vogtl) 114,47 (CA) |
| Bad Elster | 36,30 | |
| Sohl | 39,58 | |
| Raun | 41,559 | |
| Deutschland | ||
| Staatsgrenze | ?? | |
| Tschechoslowakei | ||
| Tschechoslowakei | ||
| Staatsgrenze | ?? | |
| Deutschland | ||
| Deutschland | ||
| Staatsgrenze | 47,611 | |
| Tschechoslowakei | ||
| Tschechoslowakei | ||
| Staatsgrenze | 48,137 | |
| Deutschland | ||
| Sanatorium Brambach | 48,90 | 1948 - 1957 |
| Bad Brambach | 49,927 | |
| Deutschland | ||
| Staatsgrenze | 51,325 | |
| Tschechoslowakei | ||
| Tschechoslowakei | ||
| Staatsgrenze | 51,909 | |
| Deutschland | ||
| Deutschland | ||
| Staatsgrenze | 52,085 | |
| Tschechoslowakei | ||
| Plesná (Fleißen) | 53,559 | |
| Tschechoslowakei | ||
| Grenze | 55,525 | |
| Deutschland | ||
| Deutschland | ||
| Grenze | 59,459 | |
| Tschechoslowakei | ||
| Vojtanov (Voitersreuth) | 60,000 | |
| Františkovy Lázně-Seniky | 63,285 | |
|
Františkovy Lázně (Franzensbad) |
67,840 | km 6,58 der Strecke Cheb (Eger) 0,0 - Aš (Asch) 27,550 - Streckenunterbrechung - Selb-Plößberg 34,82 - Oberkotzau 54,54 |
| km 4,089 der Strecke Tršnice (Tirschnitz) 0,0 - Františkovy Lázně (Franzensbad) 4,089 | ||
| Cheb (Eger) | 74,490 | km 151,467 der Strecke Nürnberg Hbf 0,0 - Schnabelwaid 74,96 - Marktredwitz 124,20 - Schirnding 138,30 - Grenze Deutschland/Tschechoslowakei 140,584 - Cheb (Eger) 151,467 |
| km 0,0 der Strecke Cheb (Eger) 0,0 - Aš (Asch) 27,550 - Streckenunterbrechung - Selb-Plößberg 34,82 - Oberkotzau 54,54 | ||
| km 237,252 der Strecke Praha (Prag) 0,0 - Chomutov (Komotau) 125,173 - Cheb (Eger) 237,252 | ||
| km 455,030 der Strecke Wien Franz-Josefs-Bf 0,0 - Gmünd Hbf 161,928 - Grenze Österreich/Tschechoslowakei 163,100 - České Budějovice (Böhmisch Budweis) 213,388 - Plzeň hlavní nádraží (Pilsen Hbf) 349,094 - Cheb (Eger) 455,030 | ||
| km 26,5 der Strecke Wiesau (Oberpf) 0,0 - Waldsassen 14,3 - Grenze Deutschland/Tschechien 19,663 - Cheb (Eger) 26,5 |
Stand der Kilometrierung: 2003
Stand der Kilometrierung: 2011
Plauen (Vogtl) ob Bf 0,20 - Cheb (Eger) 74,420 (6270)
| Plauen (Vogtl) ob Bf | 0,20 | km 115,92 der Strecke [Leipzig Hbf 0,02 - Leipzig-Mariabrunn 8,42 - Streckenwechsel 6361/6362 km 8,49 =] km 2,66 - Leipzig-Connewitz 3,52 - Altenburg 38,63 - Werdau 73,81 - Reichenbach (Vogtl) ob Bf 90,96 - Plauen (Vogtl) ob Bf 115,92 - Hof (Saale) 164,75 (6362) |
| Plauen (Vogtl) West | 2,82 | |
| Plauen (Vogtl)-Straßberg | 4,99 | |
| Kürbitz | 7,67 | km 58,13 der Strecke Abzw Gera-Debschwitz 0,98 - Wünschendorf (Elster) 9,40 - Greiz 30,66 - Weischlitz 59,90 (GWz) (6269) |
|
7,6 + 200,00 m |
||
| Überlänge 4,46 m | = | |
|
7,7 + 95,54 m |
||
| Weischlitz | 9,45 | km 59,90 der Strecke Abzw Gera-Debschwitz 0,98 - Wünschendorf (Elster) 9,40 - Greiz 30,66 - Weischlitz 59,90 (GWz) (6269) |
|
10,2 + 215,64 m |
||
| Überlänge 15,64 m | = | |
|
10,2 + 0,00 m |
||
|
10,2 + 215,64 m |
||
| Überlänge 15,64 m | = | |
|
10,4 + 0,00 m |
||
| Pirk | 13,39 | |
|
18,4 + 68,98 m |
||
| Fehllänge 131,03 m | = | |
|
18,6 + 0,01 m |
||
| Oelsnitz (Vogtl) | 19,83 | |
| Hundsgrün | 26,60 | |
|
31,3 + 94,44 m |
||
| Fehllänge 5,56 m | = | |
|
31,4 + 0,00 m |
||
| Adorf (Vogtl) | 33,14 | km 114,46 der Strecke Chemnitz Hbf 0,12 - Aue (Sachs) 50,81 - Streckenunterbrechung - Muldenberg 89,12 - Adorf (Vogtl) 114,46 (6645/6663) |
| 35,35 | km 114,25 der Strecke Chemnitz Hbf 0,12 - Aue (Sachs) 50,81 - Streckenunterbrechung - Muldenberg 89,12 - Adorf (Vogtl) 114,46 (6645/6663) | |
| Bad Elster | 36,30 | |
| Sohl | 39,51 | |
|
41,2 + 98,35 m |
||
| Fehllänge 0,51 m | = | |
|
41,2 + 98,86 m |
||
| Raun | 41,56 | |
|
47,2 + 200,00 m |
||
| Überlänge 0,07 m | = | |
|
47,3 + 99,93 m |
||
| Deutschland | ||
| Staatsgrenze | 47,611 | auch 47,610 |
| Tschechien | ||
| Tschechien | ||
| Staatsgrenze | 48,137 | |
| Deutschland | ||
| Bad Brambach | 49,93 | |
| Deutschland | ||
| Staatsgrenze | 51,325 | |
| Tschechien | ||
| Tschechien | ||
| Staatsgrenze | 51,909 | auch 51,892 bzw. 51,897 |
| Deutschland | ||
| Deutschland | ||
| Staatsgrenze | 52,085 | |
| Tschechien | ||
|
52,4 + 106,77 m |
||
| Überlänge 6,77 m | = | |
|
52,5 + 0,00 m |
||
| Plesná (Fleißen) | 53,550 | |
| Tschechien | ||
| Staatsgrenze | 55,525 | |
| Deutschland | ||
| Deutschland | ||
| Staatsgrenze | 59,459 | |
| Tschechien | ||
| Vojtanov (Voitersreuth) | 60,000 | |
| 63,285 | ||
|
Františkovy Lázně (Franzensbad) |
67,840 | km 4,089 der Strecke Tršnice (Tirschnitz) 0,0 - Františkovy Lázně (Franzensbad) 4,089 |
| km 6,58 der Strecke Cheb (Eger) 0,0 - Aš (Asch) 27,550 - Grenze Tschechien/Deutschland 29,601 - Selb-Plößberg 34,82 - Oberkotzau 54,54 | ||
| Cheb | 74,420 | km 455,030 der Strecke Wien Franz-Josefs-Bahnhof 0,0 - Grenze Österreich/Tschechien 163,100 - České Velenice (Gmünd Bahnhof) 164,061 - České Budějovice (Budweis) 213,388 - Plzeň hlavní nádraží (Pilsen Hbf) 349,094 - Cheb (Eger) 455,010 |
| km 237,252 der Strecke Praha (Prag) 0,0 - Chomutov (Komotau) 125,173 - Cheb (Eger) 237,252 | ||
| km 151,467 der Strecke Nürnberg Hbf 0,0 - Schnabelwaid 74,96 - Marktredwitz 124,20 - Schirnding 138,30 - Grenze Deutschland/Tschechoslowakei 140,584 - Cheb (Eger) 151,467 | ||
| km 0,0 der Strecke Cheb (Eger) 0,0 - Aš (Asch) 27,550 - Grenze Tschechien/Deutschland 29,601 - Selb-Plößberg 34,82 - Oberkotzau 54,54 |

km 0,3 (Vogtl) in Plauen ob Bf
Foto: Silvio Müller, 10.07.2021

km 0,4 in Plauen (Vogtl) ob Bf
Foto: Silvio Müller, 10.07.2021

km 2,0 zwischen Plauen (Vogtl) ob Bf und Plauen West auf dem Syratalviadukt
232 022 mit TKC 49827
Foto: Andreas Renz, 14.01.2001

km 2,0 zwischen Plauen (Vogtl) ob Bf und Plauen West auf dem Syratalviadukt
23 1097
Foto: Beate Feustel, September 2020

km 2,0 zwischen Plauen (Vogtl) ob Bf und Plauen West auf dem Syratalviadukt
86 1333
Foto: Jörg Müller, Oktober 2025

km 3,0 und km 3,2 in Plauen (Vogtl) West - 50 3648
Foto: Beate Feustel, 15.12.2019

km 7,6 in Kürbitz - Blick Richtung Cheb (Eger)
120 338
Links die Strecke
Gera Süd -0,12 - Wünschendorf (Elster) 9,40 - Greiz 30,66 - Weischlitz 59,90 (GWz)
Foto: Markus Lohneisen, 1990

km 7,7 in Kürbitz - 50 3648
km 58,2 gehört zur Strecke
Gera Süd -0,12 - Wünschendorf (Elster) 9,40 - Greiz 30,66 - Weischlitz 59,90 (GWz)
Foto: Mario Danner, 15.12.2019

km 7,7 in Kürbitz - Maxima (264 003) - Blick Richtung Cheb (Eger)
km 58,2 gehört zur Strecke
Gera Süd -0,12 - Wünschendorf (Elster) 9,40 - Greiz 30,66 - Weischlitz 59,90 (GWz)
Foto: Harald Heinrich, 09.07.2020

km 7,7 in Kürbitz - Blick Richtung Plauen ob Bf
ER20-03
km 58,0 (Tafel) und km 58,1 (Stein) gehören zur Strecke
Gera Süd -0,12 - Wünschendorf (Elster) 9,40 - Greiz 30,66 - Weischlitz 59,90 (GWz)
Foto: Harald Heinrich, 18.04.2021

km 7,7 in Kürbitz - Blick Richtung Cheb (Eger)
35 1097
km 58,2 gehört zur Strecke
Gera Süd -0,12 - Wünschendorf (Elster) 9,40 - Greiz 30,66 - Weischlitz 59,90 (GWz)
Foto: Beate Feustel, 17.05.2021

km 8,2 bei Weischlitz - 232 103
km 58,7 gehört zur Strecke
Gera Süd -0,12 - Wünschendorf (Elster) 9,40 - Greiz 30,66 - Weischlitz 59,90 (GWz)
Foto: Russpeter, 03.08.2015

km 8,4 bei Weischlitz - 232 103
km 58,8 gehört zur Strecke
Gera Süd -0,12 - Wünschendorf (Elster) 9,40 - Greiz 30,66 - Weischlitz 59,90 (GWz)
Foto: Russpeter, 03.08.2015

km 8,4 bei Weischlitz
Der Zug befindet sich bei km 58,8 auf der Strecke
Gera Süd -0,12 - Wünschendorf (Elster) 9,40 - Greiz 30,66 - Weischlitz 59,90 (GWz)
Foto: Sebastian Herzog, 10.10.2020

km 9,0 (links) in Weischlitz - Blick Richtung Plauen
km 59,5 (rechts) gehört zur Strecke Gera Süd -0,12 - Wünschendorf (Elster) 9,40 - Greiz 30,66 - Weischlitz 59,90 (GWz)
Januar 2013

km 9,0 (links) in Weischlitz - Blick Richtung Plauen
86 1333
km 59,4 (rechts) gehört zur Strecke Gera Süd -0,12 - Wünschendorf (Elster) 9,40 - Greiz 30,66 - Weischlitz 59,90 (GWz)
Foto: Rocco Kadow, Oktober 2025

km 9,4 in Weischlitz
Foto: Georg Sattler, Juni 1994

km 9,5 in Weischlitz
120 274
Foto: Markus Lohneisen, 1990

km 9,5 in Weischlitz
Foto: Markus Lohneisen, 2006

km 9,5 - Vogtlandbahn fährt in Weischlitz ein [kommend aus Ri Oelsnitz (Vogtl)]
Januar 2013

km 9,5 - Detail
Januar 2013

km 9,5 in Weischlitz - Blick Richtung Plauen ob Bf
Foto: Dietmar Levie, 2018

km 9,5 in Weischlitz
ER20-03
Foto: Harald Heinrich, 18.04.2021

km 9,6 in Weischlitz - Blick Richtung Plauen ob Bf
Foto: Dietmar Levie, 2018

km 9,7 ist zusammen mit einem Lichtsignal am Bf Weischlitz aufgestellt.
Januar 2013

Gesamtüberblick
Januar 2013

km 9,7 ist zusammen mit einem Lichtsignal am Bf Weischlitz aufgestellt.
Foto: Markus Lohneisen, 2013
bei Weischlitz
Kabelmerkstein 02 - Erklärung weiter unten
Foto: Dietmar Eichhorn

km 11,6 zwischen Weischlitz und Pirk - Blick Richtung Plauen
41 1144
Foto: Beate Feustel, 11.10.2020

km 12,0 zwischen Weischlitz und Pirk - Blick Richtung Plauen
35 1097
Foto: Beate Feustel, 17.04.2022

km 12,4 zwischen Weischlitz und Pirk - Blick Richtung Plauen
23 1097
Foto: Beate Feustel, 09.03.2024

km 12,4 zwischen Weischlitz und Pirk - Blick Richtung Plauen
23 1097
Foto: Beate Feustel, 09.03.2024

km 12,4 zwischen Weischlitz und Pirk - Blick Richtung Plauen
23 1097
Foto: Beate Feustel, 09.03.2024

km 12,6 zwischen Weischlitz und Pirk - Blick Richtung Cheb (Eger)
Foto: Beate Feustel, 17.04.2020

km 13,3 in Pirk
Januar 2013

km 13,3 in Pirk - andere Seite ist bereits verwittert
Januar 2013

Bahnhofsgebäude in Pirk - noch bewohnt
Januar 2013

Pirk - im Hintergrund die Autobahnbrücke
Foto: Georg Sattler, Juni 1994

km 13,4 in Pirk - Blick Richtung Plauen ob Bf
VT 32
Links der Stein 14 DR
Foto: Dieter Riehemann, 19.05.1997

km 13,4 in Pirk - Blick Richtung Plauen ob Bf
VT 34 und Vt 33
Links der Stein 14 DR
Foto: Dieter Riehemann, 19.05.1997

50 1360 mit Güterzug in Pik - im Hintergrund die Autobahnbrücke
Foto: Steffen Tautz

Doch was hat es mit dem Stein mit der 14 und der Beschriftung DR auf sich?
Pirk hat doch km 13,40
Januar 2013

Der Blick Ri Oeslnitz (Vogtl) lässt den Unterschied deutlich erkennen: 13,4 und 14
Januar 2013

km 13,4 in Pirk
Links noch der Stein 14 DR zu erkennen
Foto: Harald Heinrich, 23.03.2019

km 13,4 in Pirk
Foto: Sebastian Herzog, 10.10.2020

Stein 14 DR in Pirk
Foto: Erhard Pitzius, Mai 2020

Weiter Ri Oelsnitz (Vogtl) scheint die Welt wieder in Ordnung zu sein: km 13,5 und dahinter km 13,6
Blick Richtung Cheb (Eger)
Januar 2013

km 13,5 in Pirk - Blick Richtung Plauen
112 451
Foto: Bernd Magiera, 22.09.1991

km 13,5 in Pirk - Blick Richtung Plauen
41 1144
Foto: Harald Heinrich, 05.10.2019

km 13,5 in Pirk - Blick Richtung Plauen
41 1144
Foto: rudibü, 03.10.2020

km 13,6 in Pirk
Foto: Harald Heinrich, 23.03.2019
km 13,8 in Pirk - Blick Richtung Cheb (Eger)
232 419 und 232 495 mit 41316 (Prag - Hamburg)
Foto: Cargonaut, 28.03.2007

km 13,9 in Pirk - Blick Richtung Cheb (Eger)
41 1144
Foto: Beate Feustel, 17.10.2021

km 14,2 bei Pirk
Foto: Georg Sattler, Juni 1994

km 14,2 bei Pirk - 41 1144
Foto: Harald Heinrich, 23.03.2019

km 14,4 bei Pirk
Foto: Sebastian Herzog, 10.10.2020

km 15,9 (Stein) bei Pirk - Blick Richtung Cheb (Eger)
120 274
Rechts die Kabelmerksäule 26
Foto: Mario Danner, April 2023

km 15,8 bei Pirk - Blick Richtung Plauen
35 1097
Im Vordergrund Kabelmerksäule 26
Foto: Harald Heinrich, 30.05.2019
km 15,8 (Tafel) und km 15,9 (Stein) bei Pirk - Blick Richtung Plauen
86 1333
Kabelmerksäule 26 und 27
Foto: Jens Schwese, Oktober 2025

Bei der Weiterfahrt auf der Straße plötzlich weitab von den Gleisen der Stein 34
Januar 2013

Stein 34 von der anderen Seite
Januar 2013

Stein 35 - ebenfalls weitab vom Gleis
Januar 2013

Stein 35 - andere Seite - beim roten Pfeil ist der Stein 37 zu erkennen
Januar 2013

km 17,9 zwischen Pirk und Oelsnitz (Vogtl)
35 1097
Foto: Fritz Mehnert, 11.12.2022

bei km 18,0 und Kabelmerksäule 37 - Blick Richtung Cheb (Eger)
232 241 mit 53141
Foto: Cargonaut, 19.04.2021

km 18,0 mit Vogtlandbahn und Stein 37 - Blick Richtung Plauen
Januar 2013

Stein 38, Stein 37 und beim roten Pfeil Stein 35
Januar 2013
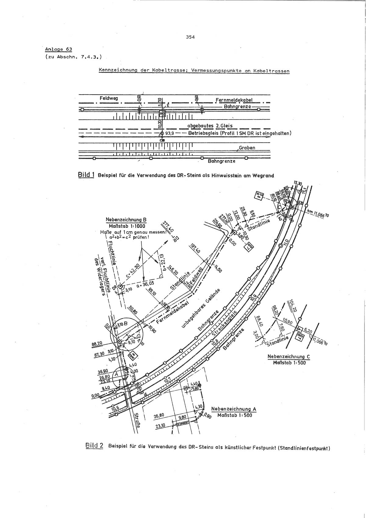
Der Telekommunikationsfachmann Michael löst das Geheimnis:
Diese Steine sind Kabelmerksäulen. Sie sind ein Anhaltspunkt zum Einmessen von Leitungstrassen, hier das Streckenkabel.
Diese Kabelmerksäulen haben im Gegensatz zu den Kabelmerksteinen den Vorteil, dass sie besser zu erkennen sind.
Die Kabelmerksteine sind leicht durch Aufwuchs, Laub oder Erde verdeckt.
Hier noch ein Auszug aus dem Forum "Steine der ehemaligen Post":
Diese Steine, genannt
Kabelmerksteine, haben den Zweck, im Gelände bleibende Anhaltspunkte zum
Einmessen von Leitungstrassen zu liefern, wenn sonst keine Bauwerke o. ä.
vorhanden sind, auf die Bezug genommen werden kann. Dazu wird neben der
Kabeltrasse mit Fluchtstangen eine so genannte Standlinie aufgebaut, auf der in
gewissen Abständen und an Knickpunkten eben diese Kabelmerksteine eingegraben
werden. Dann wird von dieser Standlinie auf die Kabeltrasse gemessen und die
Lage der Standlinie, Kabelmerksteine und Kabeltrasse mit Vermaßung wird in die
Lagepläne übertragen.
Kabelmerksteine stehen immer in einem gewissen Abstand neben der Kabeltrasse.
Zum Wiederfinden der Leitung ist es dann erforderlich, zunächst die Merksteine
im Gelände zu lokalisieren. Dann wird mit Hilfe der Kabelmerksteine die
Standlinie rekonstruiert. Erst wenn die wieder aufgebaut ist, kann auf die
Kabeltrasse rückgemessen werden.
Kabelmerksteine haben heute in der Regel oben drauf ein Kreuz, ein Blitz, ein K
oder ein M, je nachdem, wer die Anlagen betreibt. Früher wurden auch andere
Bezeichnungen verwendet. Die Deutsche Bundespost benutzte beispielsweise DBP,
die Deutsche Post DP. Zusätzlich wurde früher manchmal auch noch eine
aufsteigende Nummerierung der Steine innerhalb der Kabellinie benutzt, die mit
eingemeißelt waren. Die können innerhalb einer Trasse durchgängig sein, müssen
es aber nicht (z. B. Austausch bei Verlust, zusätzliches Einfügen von Steinen
usw.).
Hierzu ein Auszug aus der DV 881 Teilheft 1 (Dienstvorschrift für Kabel und Leitungen, Teilheft 1: SF-Außenkabel)




Hier auch der entsprechende Anhang






Kabelmerksäule 38 - Vorsignal von Oelsnitz (Vogtl)
Januar 2013

65 1049 bei einer Sonderfahrt am 15.03.2009 bei Oelsnitz (Vogtl)
Die Besonderheit ergibt sich erst beim genaueren Hinsehen, es existieren zwei
unterschiedliche Kilometrierungen?
Lösung ist gefunden!
Foto: Johannes Trautner

Rechts am Bildrand: km 18,2 der Strecke Plauen ob. Bf - Eger (PE)

Unmittelbar vor dem Vorsignal: 38 und DR
Kabelmerksäule 38

Kabelmerksäule 39
Januar 2013

Kabelmerksäule 40
Januar 2013

km 19,3 in Oelsnitz (Vogtl) - Blick Richtung Plauen
Foto: Dietmar Levie, 03.12.2024

km 19,3 in Oelsnitz (Vogtl) - Blick Richtung Plauen
Foto: Dietmar Levie, 03.12.2024

km 19,4 in Oelsnitz (Vogtl) - Blick Richtung Plauen
Foto: Dietmar Levie, 03.12.2024

km 19,4 in Oelsnitz (Vogtl) - Blick Richtung Plauen
41 1144
Foto: Max Berger, 03.10.2020

km 19,4 in Oelsnitz (Vogtl) - Blick Richtung Plauen
Foto: Dietmar Levie, 03.12.2024

km 19,5 in Oelsnitz (Vogtl) - Blick Richtung Plauen
Foto: Dietmar Levie, 03.12.2024

km 19,6 und km 19,7 in Oelsnitz (Vogtl) - Blick Richtung Plauen
Foto: Dietmar Levie, 03.12.2024

km 19,8 in Oelsnitz (Vogtl) - Blick Richtung Cheb (Eger)
VT 33 und VT 34
Foto: Dieter Riehemann, 18.05.1997

km 19,8 in Oelsnitz (Vogtl) - Blick Richtung Cheb (Eger)
Foto: Dietmar Levie, 2018

km 19,8 in Oelsnitz (Vogtl) - Blick Richtung Cheb (Eger)
Foto: Dietmar Levie, 03.12.2024

km 19,8 in Oelsnitz (Vogtl) - Blick Richtung Plauen
41 1144
Foto: Beate Feustel, 03.10.2020

km 19,8 in Oelsnitz (Vogtl) - Blick Richtung Plauen
Foto: Dietmar Levie, 03.12.2024

km 19,9 in Oelsnitz (Vogtl) - Blick Richtung Cheb (Eger)
Foto: Dietmar Levie, 03.12.2024

km 19,9 in Oelsnitz (Vogtl) - Blick Richtung Plauen
Foto: Dietmar Levie, 2018

km 19,9 in Oelsnitz (Vogtl) - Blick Richtung Plauen
Foto: Dietmar Levie, 03.12.2024

km 20,0 in Oelsnitz (Vogtl) - Blick Richtung Cheb (Eger)
Foto: Dietmar Levie, 2018

km 20,0 (Tafel - Tafel - Stein) und km20,2 (Tafel) in Oelsnitz (Vogtl) - Blick Richtung Cheb (Eger)
Foto: Max Berger, 03.10.2020

km 20,0 in Oelsnitz (Vogtl) - Blick Richtung Cheb (Eger)
Foto: Dietmar Levie, 03.12.2024

km 20,0 (Tafel und Stein) in Oelsnitz (Vogtl) - Blick Richtung Plauen
58 3047
Foto: Uwe Bachmann, April 1995

km 20,0 in Oelsnitz (Vogtl) am Stw. B2 - Blick Richtung Plauen
Beachtenswert auch der linke, sehr alte Wecker
Januar 2013

km 20,1 in Oelsnitz (Vogtl) - Blick Richtung Cheb (Eger)
Januar 2013

km 20,6 in Oelsnitz (Vogtl)
120 274
Foto: Max Berger, April 2023

km 21,4 zwischen Oelsnitz (Vogtl) und Hundsgrün - 52 8075
Foto: Mario Danner

km 23,0 zwischen Oelsnitz (Vogtl) und Hundsgrün - Blick Richtung Plauen
58 3047
Foto: Toralf Schöniger, Ostern 1996

km 23,2 zwischen Oelsnitz (Vogtl) und Hundsgrün - Blick Richtung Cheb (Eger)
58 3047
Foto: Toralf Schöniger, Ostern 1996

km 23,3 zwischen Oelsnitz (Vogtl) und Hundsgrün - Blick Richtung Plauen
01 0509
Foto: Steffen Kumfert, 23.03.2024

km 26,6 (Stein und Tafel) in Hundsgrün
Foto: Georg Sattler, Juni 1994

km 28,5 zwischen Hundsgrün und Adorf (Vogtl) - Blick Richtung Plauen (Vogtl)
232 587 und 232 693 auf dem Weg nach Tschechien
Foto: Russpeter, 2012

km 28,5 zwischen Hundsgrün und Adorf (Vogtl) - Blick Richtung Plauen (Vogtl)
120 274
Foto: Steffen Schott, 23.04.2023

km 28,6 zwischen Hundsgrün und Adorf (Vogtl)
Foto: Uwe Bruns, 13.08.1995

km 28,8 und km 28,9 zwischen Hundsgrün und Adorf (Vogtl) - Blick Richtung Plauen
01 0509
Foto: Dresdner Lokfotokasten, 25.03.2023

km 29,0 (Stein und Tafel) zwischen Hundsgrün und Adorf (Vogtl) - 58 3047
Foto: Uwe Bachmann, April 1995

km 30,3 zwischen Hundsgrün und Adorf (Vogtl) - 03 1010
Foto: Mario Danner
km 30,3 und km 30,4 zwischen Hundsgrün und Adorf (Vogtl) - Blick Richtung Cheb (Eger)
41 1144 mit RE 5399
Foto: Cargonaut, 23.10.2011
km 30,5 zwischen Hundsgrün und Adorf (Vogtl) - 285 111 mit Umleiterzug 95522
Foto: Cargonaut, 02.12.2013

km 31,8 in Adorf (Vogtl) - Blick Richtung Plauen
86 1333 und 86 1607
Foto: Rocco Kadow, Oktober 2025

km 31,9 in Adorf (Vogtl) - Blick Richtung Cheb (Eger)
86 1333
Foto: Jens Schwese, Oktober 2025

km 32,0 (Tafel und Stein) in Adorf (Vogtl) - Blick Richtung Plauen
Foto: Georg Sattler, Juni 1994

km 32,0 (Tafel und Stein) in Adorf (Vogtl) - Blick Richtung Plauen
Foto: Georg Sattler, Juni 1994

km 32,4 (Stein und Tafel) in Adorf (Vogtl)
Foto: Harald Heinrich, 23.03.2019

km 32,6 (Stein) und km 32,7 (Steine) in Adorf (Vogtl) - 41 1144
Foto: Harald Heinrich, 23.03.2019

km 32,9 in Adorf (Vogtl)
Foto: Uwe Bruns, 16.12.2018

km 32,9 in Adorf (Vogtl) - Blick Richtung Plauen (Vogtl)
120 274
Foto: René Hockert, 23.04.2023

km 33,0 in Adorf (Vogtl) - 03 1010 und 41 1144
Foto: Uwe Bruns, 22.08.2008

km 33,0 in Adorf (Vogtl)
Foto: Uwe Bruns, 16.12.2018

km 33,0 in Adorf (Vogtl)
Foto: Uwe Bruns, 16.12.2018

km 33,0 und km 33,1 in Adorf (Vogtl) - Blick Richtung Cheb (Eger)
120 274
Foto: René Hockert, 23.04.2023

km 33,1 in Adorf (Vogtl) - 534 0432
Foto: Stefan Motz, 04.11.1990

km 33,1 in Adorf (Vogtl)
Foto: Georg Sattler, Juni 1994

km 33,1 in Adorf (Vogtl)
Foto: Dieter Riehemann, 21.05.1998

km 33,1 in Adorf (Vogtl)
VT 18.16.11
Foto: Silvio Vernaldi, 29.03.2003

km 33,1 in Adorf (Vogtl) - 41 1144
Foto: Sylvio Eid, Mai 2017

km 33,1 in Adorf (Vogtl)
Foto: Dietmar Levie, 2018

km 33,1 in Adorf (Vogtl)
50 3648
Foto: Dominik Löschner, 11.02.2023

km 33,1 in Adorf (Vogtl)
01 0509
Foto: Sven Graupner, 05.04.2025

km 33,3 in Adorf (Vogtl) - Blick Richtung Plauen (Vogtl)
Foto: Ullrich Werner, 12.04.2014

km 33,3 in Adorf (Vogtl) - 112 565 (Press) mit Schneepflug bei Schulungsfahrten
Foto: Mario Danner, 17.02.2015
km 33,3 in Adorf (Vogtl) - 50 3648
km 114,3 gehört zur Strecke
Chemnitz Hbf 0,0 - Aue (Sachs) 50,80 - Adorf (Vogtl) 114,47 (CA)
Foto: Mario Danner

km 33,3 in Adorf (Vogtl)
km 114,3 gehört zur Strecke
Chemnitz Hbf 0,0 - Aue (Sachs) 50,80 - Adorf (Vogtl) 114,47 (CA)
Foto: Dietmar Levie, 2018

km 33,4 in Adorf (Vogtl)
km 114,2 gehört zur Strecke
Chemnitz Hbf 0,0 - Aue (Sachs) 50,80 - Adorf (Vogtl) 114,47 (CA)
Foto: Dietmar Levie, 2018

km 36,2 in Bad Elster - Blick Richtung Plauen (Vogtl)
Foto: Joachim Teichmann, 08.05.2025

km 36,4 in Bad Elster - Blick Richtung Cheb (Eger)
Foto: Joachim Teichmann, 08.05.2025

Bad Elster - Detail
Foto: Joachim Teichmann, 08.05.2025

km 36,4 in Bad Elster - Blick Richtung Cheb (Eger)
Foto: Joachim Teichmann, 08.05.2025

km 36,6 zwischen Bad Elster und Sohl - VT 41
Foto: Dieter Riehemann, 23.05.1998

km 39,2 in Sohl - Blick Richtung Plauen (Vogtl)
Foto: Joachim Teichmann, 08.05.2025

km 39,4 in Sohl - Blick Richtung Plauen (Vogtl)
Foto: Joachim Teichmann, 08.05.2025

km 39,4 in Sohl - Blick Richtung Plauen (Vogtl)
Foto: Joachim Teichmann, 08.05.2025

Sohl
Foto: Joachim Teichmann, 08.05.2025

BÜ km 39,589 in Sohl
Foto: Joachim Teichmann, 08.05.2025

BÜ km 39,5 und km 39,6 in Sohl - Blick Richtung Cheb (Eger)
Foto: Joachim Teichmann, 08.05.2025

km 39,6 in Sohl - Blick Richtung Cheb (Eger)
Foto: Joachim Teichmann, 08.05.2025

km 39,8 bei Sohl - 50 3648
Foto: Torsten Dettloff, 05.10.2019

km 41,3 bei Raun - 41 1144
Foto: Steffen Kumfert, März 2019

km 41,6 in Raun - 232 656 mit 5607
Foto: Markus Lohneisen, 13.02.1993
km 42,8 zwischen Raun und Bad Brambach - Blick Richtung Plauen
232 569 und 232 259 mit KT 95521
Foto: Cargonaut, 28.12.2011
km 43,9 zwischen Raun und Bad Brambach - 52 8154
Foto: Mario Danner
km 47,4 zwischen Raun und Bad Brambach - Blick Richtung Cheb (Eger)
VT 650.74
Foto: Uwe Bruns, 30.10.2022

km 49,4 in Bad Brambach
50 3648
Foto: Harald Heinrich, 05.10.2019

km 49,4 in Bad Brambach
Foto: Sebastian Herzog, 10.10.2020

km 49,4 in Bad Brambach - Blick Richtung Cheb (Eger)
Foto: Ulrich Werner, 2014

km 49,4 in Bad Brambach - Blick Richtung Plauen
86 1333
Foto: Rocco Kadow, Oktober 2025

km 49,6 in Bad Brambach
35 1097
Foto: Dresdner Lokfotokasten, 18.03.2023

km 50,1 in Bad Brambach - Blick Richtung Cheb (Eger)
232 678
Foto: Stefan Motz, 12.09.1997

km 50,2 in Bad Brambach - Blick Richtung Plauen
86 1333
Foto: Markus Endt, Oktober 2025

km 53,4 in Plesná (Fleißen) - Blick Richtung Cheb (Eger)
Foto: Nick Graupner, 05.04.2025

km 53,8 in Plesná (Fleißen) - Blick Richtung Plauen
810 157
Foto: Stefan Motz, 02.11.1990

km 61,x (Stein) zwischen Vojtanov (Voitersreuth) und Františkovy Lázně (Franzensbad)
650 152 als MOs 20977 (Zwickau Zentrum - Cheb)
Foto: Tobias Heinze, 16.03.2017

bei km 62,5
Hier befand sich von 1938 bis 1945 der Abzw Schweinebeutel
Foto: Matthias Manske, 2014

km 63,0 zwischen Vojtanov (Voitersreuth) und Františkovy Lázně (Franzensbad)
Foto: Matthias Manske, 31.07.2014

km 63,0 (Tafel und Stein); km 63,1 (Stein) und km 63,2 (Stein) zwischen Vojtanov (Voitersreuth) und Františkovy Lázně (Franzensbad)
810 561 als MOs 20977 (Vojtanov - Cheb)
Links das Gleis der Strecke
Cheb (Eger) 0,0 - Aš (Asch) 27,550 - Grenze Tschechien/Deutschland 29,601 - Selb-Plößberg 34,82 - Oberkotzau 54,54
Foto: Tobias Heinze, 15.03.2017

km 63,4 zwischen Vojtanov (Voitersreuth) und Františkovy Lázně (Franzensbad)
Foto: Matthias Manske, 31.07.2014

km 64,1 (Stein) zwischen Vojtanov (Voitersreuth) und Františkovy Lázně (Franzensbad)
648 209 als MOs 20881 (Hof Hbf - Marktredwitz) befindet sich auf der Strecke
Cheb (Eger) 0,0 - Aš (Asch) 27,550 - Grenze Tschechien/Deutschland 29,601 - Selb-Plößberg 34,82 - Oberkotzau 54,54
Foto: Tobias Heinze, 16.03.2017

km 64,0; km 64,2; km 64,3 und km 66,0 zwischen Vojtanov (Voitersreuth) und Františkovy Lázně (Franzensbad)
Foto: Matthias Manske, 31.07.2014

km 65,4 zwischen Vojtanov (Voitersreuth) und Františkovy Lázně (Franzensbad) - 01 0509
Foto: Jürgen Löschner, 06.04.2019

km 66,5; km 66,8; km 66,9 und km 67,0 zwischen Vojtanov (Voitersreuth) und Františkovy Lázně (Franzensbad)
Foto: Matthias Manske, 31.07.2014

km 67,0 in Františkovy Lázně (Franzensbad)
Foto: Lionel Riki, 2020

bei km 67,0 in Františkovy Lázně (Franzensbad)
Der Stein PS 0,1 gibt noch Rätsel auf.
Foto: Lionel Riki, 2020

km 67,4 in Františkovy Lázně (Franzensbad) - 534 0323
Foto: Achim Ender, 24.09.2016

km 67,4 in Františkovy Lázně (Franzensbad) - 41 1144
Foto: Thomas Weber, Oktober 2021

km 67,6 in Františkovy Lázně (Franzensbad) - 41 1144
Foto: Jürgen Löschner, 31.03.2019

km 68,0 in Františkovy Lázně (Franzensbad) - 362 131
Foto: Markus Lohneisen, Sommer 2016

km 68,3 (Bildmitte) bei Františkovy Lázně (Franzensbad)
Links km 3,6 der Strecke Tršnice (Tirschnitz) 0,0 - Františkovy Lázně (Franzensbad) 4,089
Foto: Matthias Manske, 30.12.2013

km 68,4 bei Františkovy Lázně (Franzensbad)
Foto: Matthias Manske, 30.12.2013

km 68,5 bei Františkovy Lázně (Franzensbad)
Foto: Matthias Manske, 30.12.2013

km 70,0 zwischen Františkovy Lázně (Franzensbad) und Cheb (Eger) - Blick Richtung Plauen
242 208 mit R 757
Foto: Cargonaut, 12.04.2009
| Startseite | Strecken in Deutschland (Tabelle1) | Strecken in Thüringen | Kilometrierung | Impressum |